Koop:Grotestraat 46, 5836 AG Sambeek - Foto
+26

Grotestraat 46 5836 AG Sambeek

  • Woonhuis
  • 5 kamers
  • 3 slaapkamers
  • Bouwjaar 1858
  • 2.050 m² perceeloppervlakte
  • 97 m² gebruiksoppervlakte

Beschrijving

Monumentale woonboerderij op een perceel van maar liefst 2.050 m2 met meerdere mogelijkheden, gelegen in het hart van Sambeek. De woonboerderij is geschikt voor verbouwing/renovatie en bewoning. Anderzijds is er een positief principebesluit vanuit gemeente Land van Cuijk om onder voorwaarden medewerking te verlenen om deze locatie te ontwikkelen t.b.v. zorg.

De woonboerderij is interessant qua detaillering van exterieur en boerderij type. Het maakt deel uit van de historie van Sambeek en is een onderdeel van de historische lintbebouwing van het dorp. Het is karakteristiek voor het dorp en vertegenwoordigt een aspect van de sociale en economische geschiedenis.

De indeling van de woonboerderij is als volgt:
De woning bestaat uit een woongedeelte en een stalgedeelte. De woning is al langere tijd niet meer bewoond. Het woongedeelte heeft op de begane grond meerdere kamers en een kelder. Verder heeft de woning een stalgedeelte met karakteristieke houten spanten.
De eerste verdieping heeft een houten dekvloer en is enkel ingericht met 1 slaapkamer.
De gevels zijn in baksteen in kruisverband met drieklezoren gemetseld met gecementeerde plint, uitgevoerd met fraaie muurankers. De korte kopgevel aan de straat is voorzien van boeren vlechtingen en gemetselde schoorsteen. De beneden ramen met hardstenen dorpels in deze gevel had vroeger luiken en zijn vernieuwd in zesvlaks schuiframen. De voordeur, aan de rechterzijde van de woning, is een paneeldeur met bovenlicht. In het achterhuis is ook nog een deur en een gietijzeren zesvlaks stalraam en een dubbele toogpoort aangebracht. De linker gevel is voorzien geweest van pleisterwerk. Het zadeldak tussen de topgevels met gemetselde schoorstenen is gedekt met oud Hollandse pannen.

Mogelijkheden locatie:

Wonen:
Uw droomhuis realiseren op deze locatie? Dat kan! De woonboerderij is een gemeentelijk monument en de karakteristieke elementen zijn behouden gebleven. Van oudsher deed deze woning dienst als brouwerij. De locatie heeft de bestemming ‘wonen’. Voorgenomen verbouwingen of aanbouwen aan deze woning hebben een vergunningplicht.

Ontwikkeling t.b.v. zorg:
Deze locatie leent zich uitermate voor het realiseren van een woon-zorgboerderij met 13 (zorg)woningen (zie ook de impressie-afbeeldingen). Hiertoe heeft eigenaar een principeverzoek bij de gemeente Land van Cuijk ingediend. Dit verzoek is positief beoordeeld door de gemeente en het wordt gezien als een gewenste ontwikkeling op deze locatie. Denk dan aan kleinschalig wonen aan een hofje met zorg in de nabijheid. De zorgcomponent dient goed gewaarborgd te worden.
Voor het vervolgtraject adviseren wij u om een bureau ruimtelijke ordening in te schakelen.
Voor meer informatie kan contact opgenomen worden met ons kantoor.

Situering:
De woonboerderij bevindt zich aan de doorgaande weg naar Boxmeer. In Boxmeer zijn alle voorzieningen, zoals supermarkten, scholen, sportclubs en verenigingen aanwezig. Openbaar vervoer is gemakkelijk bereikbaar en de uitvalswegen zijn op redelijk korte afstand. Verder vind u in de omgeving veel natuur en zijn er ruimschoots fiets- en wandelroutes nabij het natuurgebied “De Maasheggen”.

Algemeen:
Deze informatie is door ons met de nodige zorgvuldigheid samengesteld. Onzerzijds wordt echter geen enkele aansprakelijkheid aanvaard voor enige onvolledigheid, onjuistheid of anderszins, dan wel de gevolgen daarvan. Koper heeft een onderzoeksplicht.

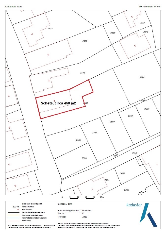
Kaart

Kenmerken

Overdracht

Referentienummer
00026
Prijs
Prijs op aanvraag
Aangeboden sinds
Woensdag 30 juli 2025

Bouw

Type object
Woonhuis, woonboerderij, vrijstaande woning
Soort bouw
Bestaande bouw
Bouwperiode
1858
Isolatievormen
Gedeeltelijk dubbel glas

Oppervlaktes en inhoud

Perceeloppervlakte
2.050 m²
Woonoppervlakte
97 m²
Inhoud
1.300 m³
Oppervlakte overige inpandige ruimten
250 m²

Indeling

Aantal bouwlagen
2
Aantal kamers
5 (waarvan 3 slaapkamers)
Aantal toiletten
1

Locatie

Ligging
Aan drukke weg
In centrum
Platteland

Uitrusting

Verwarmingssysteem
Gaskachels
Tuin aanwezig
Ja
Heeft een garage
Ja

Kadastrale gegevens

Kadastrale aanduiding
Boxmeer K 2583
Perceeloppervlakte
1.354 m²
Omvang
Geheel perceel
Eigendomsituatie
Eigen grond
Kadastrale aanduiding
Boxmeer K 2584
Perceeloppervlakte
696 m²
Omvang
Geheel perceel
Eigendomsituatie
Eigen grond